Mundo

Furacão Laura deixa três vítimas e 700 mil pessoas sem energia nos EUA

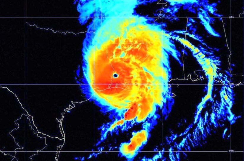
O furacão Laura atingiu a costa do estado norte-americano de Louisiana na manhã desta quinta-feira (27)

PEDRO RIBEIRO/DA EDITORIA/COM CNN BRASIL 27/08/2020
Furacão Laura deixa três vítimas e 700 mil pessoas sem energia nos EUA
Fotos: Centro Nacional de Furacões dos EUA / Reprodução/CNN
O furacão Laura atingiu a costa do estado norte-americano de Louisiana na manhã desta quinta-feira (27), varrendo a costa com uma intensidade que a região não via há mais de um século. O fenômeno chegou aos Estados Unidos como de categoria 4 (com ventos mínimos de 210 km/h), mas pouco depois foi rebaixado para a categoria 3 (mínimos de 178 km/h) e, em seguida, 2 (mínimos de 154 km/h). Horas depois, ele foi rebaixado à categoria 1 (mínimos de 119 km/h).
O centro do furacão está localizado a cerca de 72 km ao norte da cidade de Lake Charles, com ventos de 160 km/h. Ele deve continuar enfraquecendo ao longo do dia, e pode voltar a ser considerado uma tempestade tropical ainda hoje, quando deixar Louisiana e seguir rumo ao Arkansas. Laura atingiu a costa de Louisiana perto da cidade de Cameron como uma tempestade de categoria 4, com ventos de 240 km/h, equiparando-se a um furacão registrado no estado em 1856, conhecido como Last Island Hurricane. Os níveis das águas ao longo da costa subiram rapidamente. Os meteorologistas alertaram para uma tempestade "insuperável" com ventos potencialmente devastadores. Neste momento, mais de 700 mil norte-americanos estão sem energia elétrica no Texas e em Louisiana, de acordo com a PowerOutage.US, site que monitora quedas de energia pelo país. Três vítimas O governador da Louisiana, John Bel Edwards, previu que partes do estado ficarão submersas. "A onda está indo para o interior, haverá partes de Lake Charles debaixo d'água de forma que nenhum ser humano jamais viu antes", disse Edwards à Rádio WWL. Além dos estragos já observados, o gabinete de Edwards afirmou nesta manhã que ao menos uma pessoa morreu em seu estado em consequência da passagem do Laura. Trata-se de uma garota de 14 anos que morreu após a queda de uma árvore sobre a casa dela. Pouco depois, mais duas mortes foram confirmadas, elevando o total de vítimas do furacão para três. Greg Abbott, governador do Texas, disse que a retirada de pessoas das áreas costeiras do estado antes da passagem do furacão "sem dúvida salvou vidas". "Os relatos iniciais são de que não houve mortes", anunciou ele. "Uma razão para isso é porque as pessoas seguiram os alertas de retirada." Ainda assim, Abbott alertou que a tempestade não passou e pediu atenção à população. "No momento, temos equipes de busca e resgate que estão trabalhando em toda a região para ver se há alguém que precisa de algum tipo de ajuda." A tempestade atinge o país quase na mesma semana que o furacão Katrina o fez há 15 anos. Ele se tornou um furacão de categoria 5 quando estava sobre o Golfo do México, mas foi rebaixado para categoria 3 quando atingiu os EUA. Ventos perigosos Para André Madeira, meteorologista da Climatempo, apesar de Laura ter enfraquecido, ainda tem ventos perigosos e pode causar muitos estragos. "De maio a outubro é a época de formação desses furacões, porque o Atlântico perto do Equador e o Atlântico Norte ficam com temperaturas bem elevadas", o que favorece a evaporação da água do mar e formação de nebulosidade das tempestades, explicou ele. Madeira disse também que esses fenômenos costumam ganhar força quando chegam ao Golfo do México, como aconteceu com o Laura antes de enfraquecer. À CNN, Francisco de Assis, meteorologista do Instituto Nacional de Meteorologia (Inmet), explicou o fenômeno e o motivo que fez com que ele perdesse força ao avançar no território norte-americano. "O furacão perdeu força porque ele se alimenta de água quente. Esse teve uma trajetória diferente. Ele entrou pelo Golfo do México, que tem temperaturas muito quentes. Por isso quando tocou o solo, ele bateu com uma forte intensidade. Quando ele entra no continente, perde energia devido à ausência da energia que o alimentava", explicou.